Supertifón Nepartak tocó tierra
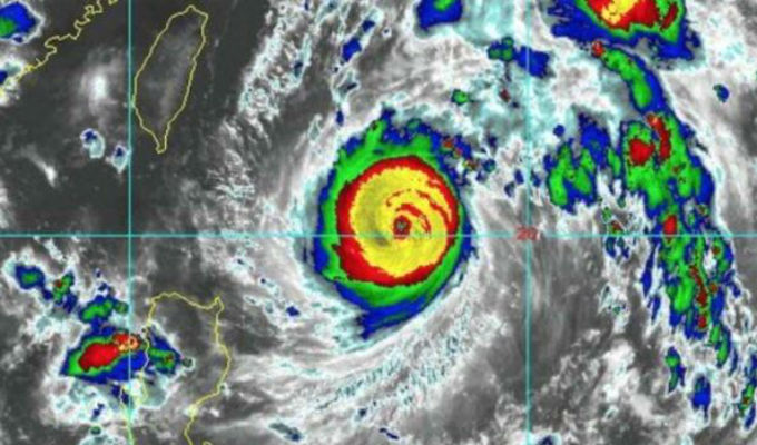
Con vientos superiores a los 200 km/h, el fenómeno azota Taiwán, China y Filipinas.

Con vientos superiores a los 200 km/h, el fenómeno azota Taiwán, China y Filipinas.
Sucedió lo que se esperaba. El supertifón ‘Nepartak’ tocó tierra en Asia. En China, las autoridades han decretado el estado de alerta máxima en la costa oriental del país. Cinco aeropuertos están cerrados, se han cancelado los servicios de transporte público y más de 30 000 barcos pesqueros permanecen encallados en los puertos hasta nuevo aviso.
Más de medio millón de personas de cuatro de las ciudades más pobladas de la zona se han visto obligadas a evacuar ante el fenómeno que con vientos superiores a 200 kilómetros por hora ha provocado destrucción y la muerte de dos personas a su paso por la isla de Taiwán.